Property Detail

9240 Harness St

Spring Valley CA 91977

$2,200,000

Status: Active

Property Details

Description

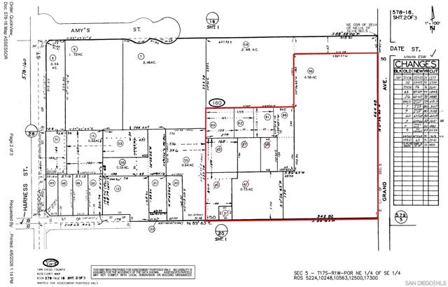
Prime Development Opportunity: 8 acres across 13 contiguous parcels in San Diego County, offering significant potential for subdivision and residential development. Preliminary discussions with the County indicate the possibility of up to 26 residential lots (approximately 6,000 sq. ft. each), presenting a compelling value-add opportunity for builders and investors. The property includes three existing tenant-occupied homes, all in poor condition and not up to current code standards. The offering is being sold for land value, providing a clean slate for redevelopment. While a portion of the site is impacted by open space easements and topography, there remains strong potential to maximize yield through thoughtful site planning and entitlements. Buyer to verify all information, including development potential, zoning, and approvals. Seller and broker make no guarantees The 13 parcels included in the sale are as follows: APN #1- 578-160-05-00 APN #2 - 578-160-40-00 APN #3- 578-160-41-00 APN #4- 578-160-42-00 APN #5- 578-160-57-00 APN #6- 578-160-58-00 APN #7- 578-160-61-00 APN #8- 578-160-62-00 APN #9- 578-160-63-00 APN #10- 578-160-66-00 APN #11- 578-160-69-00 APN #12- 578-160-71-00 APN #13 -578-160-72-00

Map Location

Listing provided courtesy of Joshua Barbera of Salas Properties. Last updated 2026-04-08 08:21:48.000000. Listing information © 2025 CRMLS.

  • Log in
  • ×