Property Detail

Wilkenson

Calipatria CA 92233

$785,900

Status: Active

Property Details

Description

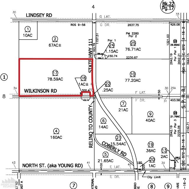
Agricultural property with potential for solar facility. Imperial County has top priority rights to Colorado River water. Imperial County has been identified as one of the ideal geographic locations in the world for solar energy. Brochure can be downloadable in the 'Document' tab. Call/text Mark McManis for further details at (209) 681-6392.

Map Location

Listing provided courtesy of Susan Harvey of Desert Pacific Properties. Last updated 2026-03-11 08:21:35.000000. Listing information © 2025 CRMLS.

  • Log in
  • ×