Property Detail

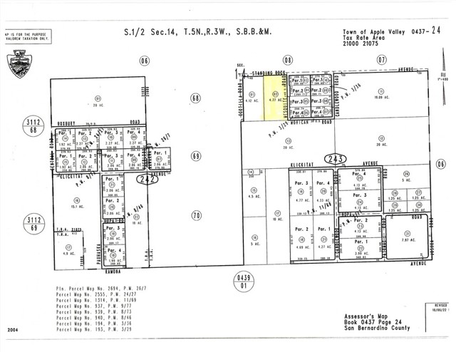
Standing Rock

Apple Valley CA 92307

$219,999

Status: Active

Property Details

Description

Approx. 5 acres located on Standing Rock Rd in the rapidly developing north Apple Valley area. Property is near the corner of Ocotillo Rd and Standing Rock Rd, where water appears to be available (buyer to verify). Just outside a large LG Homes new construction community with over 145 homes currently under development. Underground electricity appears to be available along the street. This prime parcel is situated in a fast-growing corridor with existing and planned mega warehouses, manufacturing, and industrial facilities nearby, and is minutes from the proposed Las Vegas high-speed rail station and the expanding Village Center area. Zoning is Estate Residential (1 dwelling per acre), and the parcel appears to offer potential for a lot split into up to four parcels, similar to the neighboring parcel to the east (buyer to verify with the Town of Apple Valley). Enjoy wide-open spaces, scenic mountain views, and starry night skies, while remaining close to schools, shopping, and major employment and growth centers. A great opportunity to invest in the booming north Apple Valley area.

Map Location

Listing provided courtesy of Anthony Rezendes of Century 21 Masters. Last updated 2026-04-23 08:21:23.000000. Listing information © 2025 CRMLS.

  • Log in
  • ×