Property Detail

Calera

Pacifica CA 94044

$5,999,000

Status: Active

Property Details

Description

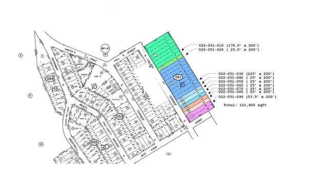
Discover an exceptional opportunity in Pacifica's sought-after Rockaway Beach district. Spanning approximately 121,400± sq ft across nine APNs, this expansive collection of parcels sits above the coastline in a peaceful setting surrounded by natural beauty. The land offers striking hillside and ocean-view outlooks, creating an ideal canvas for future vision and potential. Positioned along Calera Terrace, currently a paper street, the site combines privacy with convenience. Just moments from Linda Mar State Beach, residents and visitors can enjoy surfing, fishing, and miles of shoreline. Shopping, dining, and everyday amenities are nearby, and the location provides effortless access to San Francisco, SFO Airport, and major routes to the Peninsula and Silicon Valley. A rare chance to secure significant land in a scenic coastal community with outstanding proximity to both leisure and commuter destinations.

Map Location

Listing provided courtesy of Kulda Group of KW Advisors. Last updated 2025-12-09 09:21:09.000000. Listing information © 2025 CRMLS.

  • Log in
  • ×