Property Detail

1 Zurich

Mountain Center CA 92561

$140,000

Status: Active

Property Details

Description

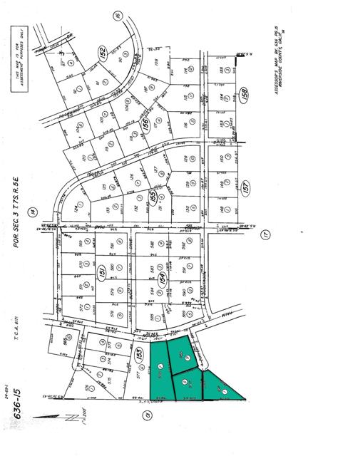
New Listing - ZERO DOWN PAYMENT FINANCING to build your dream home or homes on 4 parcels of land!!! This best land opportunity on the local market features 4 parcels of land consisting of 4.69 Acres of spectacular views with a well and utilities nearby providing the ideal spot to build your dream home. All of these parcels have incredible views. These properties border government land to the west, so no one can build near you. This offering presents endless possibilities for development, investment, or creating your dream retreat.Best of all, you can buy the lots and construct your home with NO DOWN PAYMENT and no special qualifying criteria. It is located only a short 25-minute drive up the hill from downtown Palm Desert. You will be impressed with the abundant indigenous landscaping which includes rare native pinyon pine trees, manzanita bushes and other plants that will bloom colors in the springtime. This property is an idyllic retreat for those seeking peace and proximity with nearby modern amenities. There are spectacular mountain views and amazing sunsets with an average temperature about 20 degrees cooler than the Coachella Valley. Snow falls a few times during winter which provides stunning snowscapes. For utilities, Anza Electric is a non-profit co-op which means your electricity cost is about half of what Edison charges. High-speed internet is also available for a very modest price. Call me for a tour or more details!Here's a link to the special USDA 0 down payment financing:https://usdaproperties.com/states/CA/cities/Pinyon_Pines/?

Map Location

Listing provided courtesy of Leonard Bustos of Moving Results Realty. Last updated 2025-11-05 09:21:17.000000. Listing information © 2025 CRMLS.

  • Log in
  • ×