Property Detail

W Inyo

Tulare CA 93274

$350,000

Status: Active

Property Details

Description

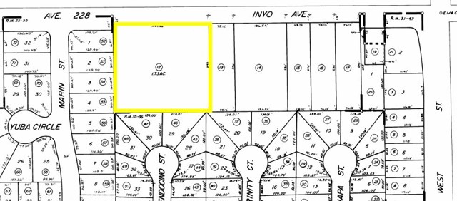
Prime 1.73-Acre Neighborhood Commercial Opportunity > Unlock the potential of this massive 75,359 sq. ft. corner-adjacent lot on W. Inyo Avenue. Zoned NEC (Neighborhood Commercial), this parcel is perfectly positioned to serve the high-density residential community surrounding it. Whether you're envisioning a local retail center, professional offices, or a specialized service hub, this level site offers the scale and visibility needed for success. Features paved street access and services at the property line. Buyer and agent to verify specific development standards and utility capacity with the City of Tulare. The vacant lot is adjacent to the following address: 1497 W Inyo Ave, Tulare, CA 93274

Map Location

Listing provided courtesy of Raul Lozano of Coldwell Banker Envision. Last updated 2026-04-09 08:21:52.000000. Listing information © 2025 CRMLS.

  • Log in
  • ×